by vik | Nov 19, 2025 | Uncategorized
Offer Over $875,000 Property Type: House Location: Speewah 4 2 6 Property DescriptionDetails 53 Edward Elgar Close, Speewah Here is a property that is Unique, has History & offers a Quality Lifestyle opportunity. The luxury home at 53 Edward...
by vik | Aug 22, 2025 | For Sale
$618,700 Property Type: House Location: Kuranda 3 1 2 Property DescriptionDetails 4 Greene Lane, Top Of Range Estate, Kuranda RADIANT LIVING IN A RAINFOREST SETTING Are you looking for something that is Extra-Special and offers style &...
by vik | Aug 21, 2025 | Sold
STUNNING LIFESTYLE: 1st Offer Over $600,000! Property Type: House Location: Biboohra 3 2 2 Property DescriptionDetails 141 Vallely Road, Biboohra Seller Wants Sold… Now, 1st Offer Over $600,000! Are You Looking for a place that you can...
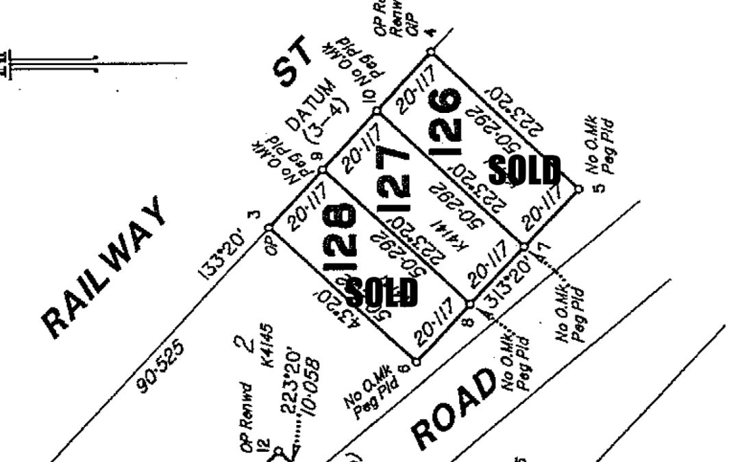
by vik | Jun 17, 2025 | For Sale, Property Listings
Offer Over $260,000 Property Type: Vacant Land 1012 m2 Location: Kuranda/Kowrowa Property DescriptionDetails Lot 127 Railway Street, Kowrowa, Vacant Land REDUCED: OFFER OVER $260,000 Lot 127 Railway Street is Perfect for the First Home Buyer or Investor in So Many...
by vik | May 20, 2024 | Property Listings, Sold
56 Veivers Drive, Speewah SOLD: LARGE HOUSE ON 5.07 ACRES, AT SPEEWAH’S BEST ADDRESS Once in a while a Unique Equestrian Property Comes Available For Sale in the Speewah real estate marketplace. 56 Veivers Drive is one such property. 56 Veivers Drive...